Поставила 3 л банку - и тля в бешенстве сбежала с огорода: участок очистился за день - химия не понадобится
- 14 апреля 09:42
- Олег Литвин

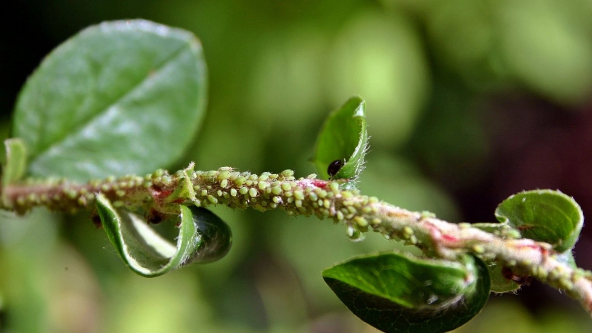
Весной и в начале лета садовые вредители активизируются. Тля, листовёртки, плодожорки и гусеницы способны за считанные дни уничтожить молодые побеги, листья и завязи. Химические инсектициды работают, но убивают и полезных насекомых, а в почве накапливаются годами. Есть альтернатива — еловый настой. Он действует мягко, но эффективно, и стоит копейки.
Почему еловые ветки — природный инсектицид
Еловая хвоя богата фитонцидами и эфирными маслами. Для вредителей эти вещества смертельны или как минимум невыносимы. Настой нарушает дыхание насекомых, отпугивает их резким запахом и при попадании на тело вызывает ожоги. При этом настой абсолютно безопасен для пчёл, шмелей, божьих коровок и других полезных насекомых — после высыхания он не токсичен.
Как приготовить еловый концентрат
Вам понадобится:
- свежие еловые ветки с хвоей
- тёплая вода (около 50 °C)
- хозяйственное мыло (без отдушек) — для прилипания
- 3-литровая банка или ведро
Измельчите ветки (можно секатором), плотно заполните банку на ⅔. Залейте тёплой водой почти до верха. Накройте крышкой и поставьте в тёплое место на 3 суток. За это время хвоя отдаст в воду все активные вещества. Процедите настой через марлю или мелкое сито.
Как применять
Разбавьте концентрат чистой водой в пропорции 1:1. Добавьте 2 столовые ложки жидкого мыльного раствора (натрите хозяйственное мыло и растворите в небольшом количестве горячей воды). Мыло нужно, чтобы настой «прилип» к листьям и не смывался дождём. Опрыскивайте растения вечером, в сухую безветренную погоду. Особенно тщательно обрабатывайте нижнюю сторону листьев — там чаще всего прячутся вредители.
Для усиления эффекта: чеснок и луковая шелуха
Если тля уже размножилась массово, добавьте в настой дополнительные компоненты. Пропустите через пресс 3–4 зубчика чеснока или добавьте стакан крутого отвара луковой шелухи (горсть шелухи залить кипятком, настоять сутки). Чеснок и лук содержат сернистые соединения, которые усиливают токсичность настоя для насекомых. Но помните: с такими добавками раствор становится более агрессивным для кожи — работайте в перчатках.
График обработок
Первую профилактическую обработку проводят сразу после распускания листьев (апрель–май). Затем опрыскивают каждые 10–14 дней до середины лета. При появлении вредителей — повторять каждые 5–7 дней до исчезновения. Настой можно хранить в холодильнике в закрытой бутылке до 2 недель.
Преимущества перед химией
- Безопасность для пчёл, дождевых червей и домашних животных.
- Не накапливается в почве и плодах.
- Можно использовать в любой фазе роста растений, даже в период цветения.
- Стоимость — копейки (ветки бесплатны, мыло есть у всех).
Главное
Еловый настой — это не панацея, но мощное подспорье. Он не уничтожит всех вредителей одной обработкой, но при регулярном применении снизит их численность до безопасного уровня. Попробуйте этот экологичный метод — и ваш огород скажет спасибо. А пчёлы останутся живы.
Изменения в системе соцподдержки произойдут в ближайшее время! Подробности, которые не стоит пропускать собрали в Телеграм-канале.