Поставила 3 л банку - и тля в бешенстве сбежала с огорода: участок очистился за день - химия не понадобится
- 26 июля 2025
- Галина Рябинина
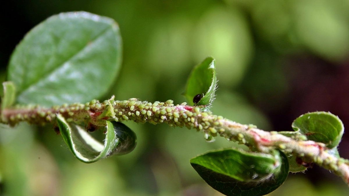
Избавиться от тли, долгоносиков и плодожорок реально и без использования токсичных веществ
Да, никакой "химии" – только еловые ветви, вода и немного усердия. Данный испытанный метод позволяет огородникам оберегать свой урожай, не нанося вреда культурам и полезным насекомым.
Для создания естественного инсектицида потребуется:
- свежие еловые ветки,
- теплая вода (около 50°C),
- мыльный раствор (годится обычное хозяйственное мыло, без ароматизаторов).
Как же сделать еловый настой? Порядок действий:
- Раздробите еловые ветки – тщательно, чтобы хвоя выделила максимум эфирных масел.
- Наполните ими банку объемом три литра.
- Залейте теплой водой.
- Оставьте на 72 часа в теплом месте.
- Отфильтруйте раствор, разведите водой в соотношении 1:1.
- Добавьте 2 столовые ложки мыльного раствора – это поможет раствору лучше закрепиться на листве.
Обрабатывайте растения опрыскиванием, особенно тщательно – нижнюю часть листвы и места скопления вредителей. Оптимальное время – весенний период и начало летнего сезона, пока насекомые не начали масштабное наступление.
Хвоя выделяет фитонциды и эфирные масла, которые отгоняют вредителей и даже приводят к их гибели. Мыло удерживает раствор на листве, предотвращая его быстрое смывание. Это безвредно – ни пчелы, ни земля, ни дети не пострадают.
А если хотите увеличить эффективность? Включите в настой немного чесночного сока или отвара луковой кожуры.
Рекомендуем также:
- Нужно ли закрывать крышку во время жарки рыбы. Запомните раз и навсегда
- Эликсир молодости: этот чай тормозит старение кожи и есть в каждом магазине - а многие проходят мимо, не замечая его на полках
- Смешиваю и запекаю: пирог "Раз-два и готово" - раньше брали его вместо торта, когда в гости ходили. Вкусно и просто-просто
- Все, у кого есть цифры 3, 7, 2, 9 в дате рождения – вот, что будет вас ждать в августе
- Для цветения герани — в августе обязательно: 1 щепотка в воду — и бутоны лезут как угорелые. Отличная подкормка для пеларгонии
Изменения в системе соцподдержки произойдут в ближайшее время! Подробности, которые не стоит пропускать собрали в Телеграм-канале.
